

























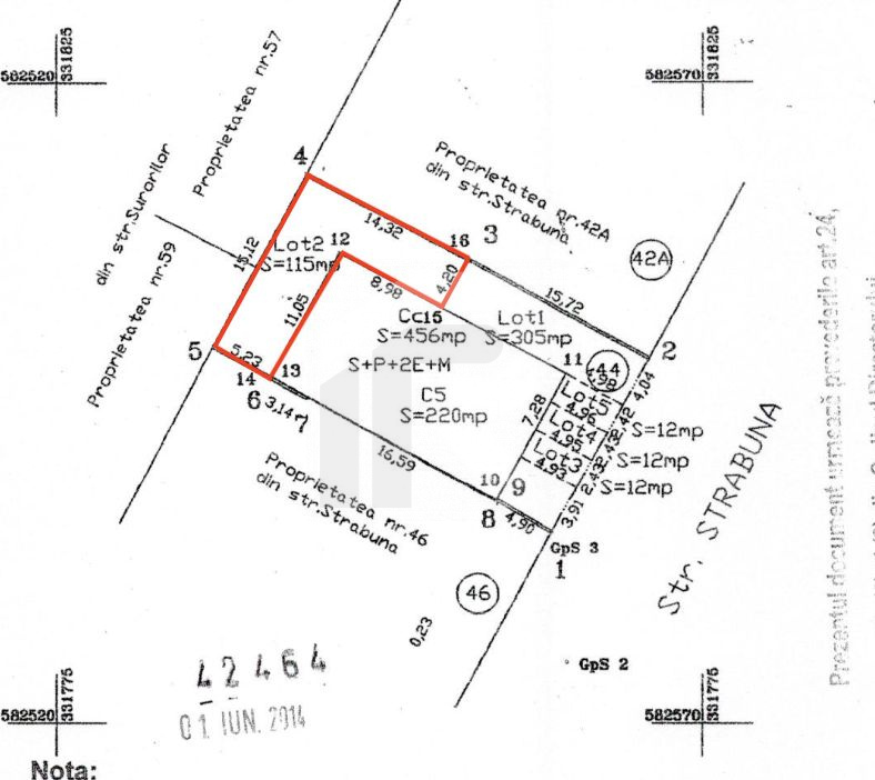
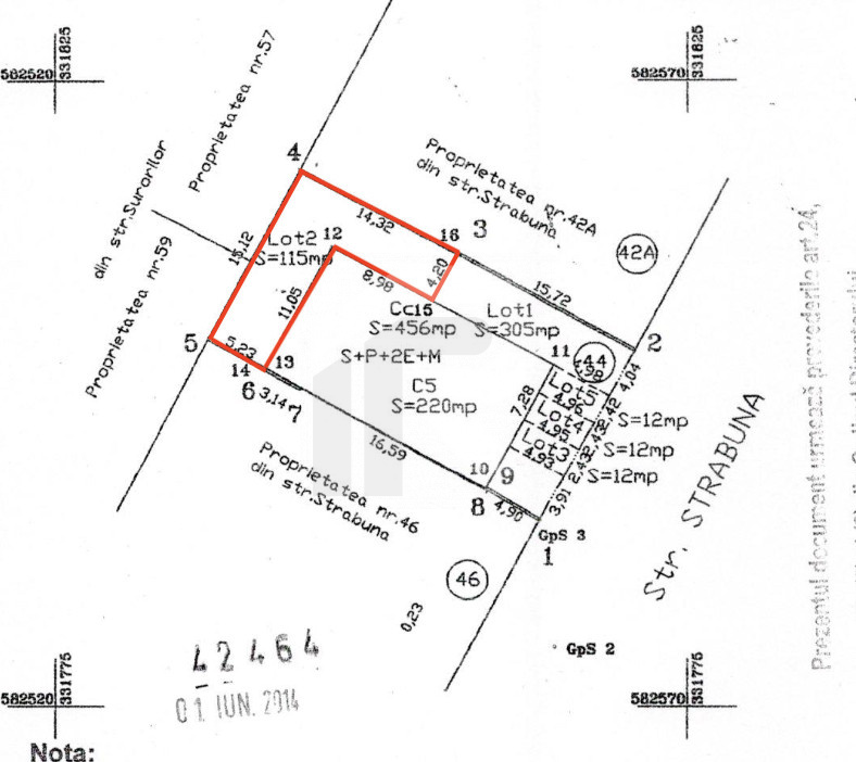
Apartament cu 3 camere, situat la parterul unui bloc de 2 etaje amplasat pe Strada Străbună nr. 44, la 5 minute de mers pe jos de stația de metrou Jiului.
Apartamentul este ideal pentru o familie, are o suprafață utilă totală de 95mp, la care se adaugă o curte generoasă de 115 mp, perfectă pentru relaxare, și două locuri de parcare – unul în subteran și unul în fața blocului.
Pentru informații suplimentare și vizionări vă stau la dispoziție!